広長浜2丁目土地

700万円

広島県呉市広長浜2丁目11-8

呉線「広」駅徒歩34分

広島県呉市「長浜桟橋」バス停

価格
700万円
坪単価
10.14万円(69.06坪)
所在地
広島県呉市広長浜2丁目11-8
交通

呉線」駅 徒歩34分

広島県呉市「長浜桟橋」バス停下車 徒歩3分

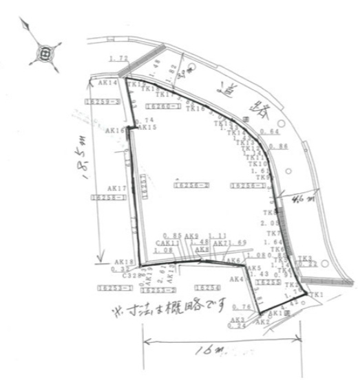
土地面積(坪数)
228.30㎡(69.06坪)
建ぺい率 / 容積率
60% / 200%

セールスポイント

建築条件なしで自由な家づくりが可能な広長浜2丁目の土地。小中学校が徒歩圏内にあります。ガーデニングや駐車場スペースを確保できる広さも魅力です。日当たりも良好で、閑静な住宅街での新生活をお考えの方におすすめ。

ポイント

山が見える バス停徒歩3分以内 土地60坪以上 周辺交通量少なめ 海まで2Km以内

担当者のコメント

三﨑 邦夫

建築条件なしの売土地!69坪の日当たり良好な敷地で、駐車場や庭も作りやすい広さです。実測は75.47坪あり、2棟建築することも可能です。

基本情報

販売区画数
-
総区画数
-
土地面積(坪数)
228.30㎡(69.06坪)
坪単価
10.14万円
私道負担面積
割合
-
セットバック
要 1.00㎡
建ぺい率 /
容積率
60% / 200%
高圧線下面積
-
傾斜地部分面積
-
路地状敷地
-
地目
宅地
地勢
平坦
造成工事
完了予定
-
土地権利
所有権
建築条件
都市計画
市街化区域
用途地域
第一種住居
接道状況
二方(東 公道 4.6m 間口 13.0m)(北東 公道 3.9m 間口 13.0m)
国土法届出要否
不要
最適用途
住宅用地
その他
法令上の制限
景観法/宅地造成及び特定盛土等規制法/土砂災害警戒区域内
取引態様
一般媒介
現況
更地
引渡条件
現況渡
引渡時期
相談
その他条件
 広南小学校/広南中学校
取引条件の
有効期限
2025年12月24日

設備条件

設備条件
  • 公営水道 / 公共下水 / 電気有
設備(その他)
    -

その他

物件番号
96049339
管理コード
-
情報更新日
2025年12月10日
次回更新予定日
2025年12月24日
取扱会社
  • 朝日住宅
  • 広島県呉市広古新開7丁目23-15 セントラルステージ広 101
  • TEL:0823-72-4594
  • 広島県知事 (13) 第3683号

支払いシミュレーション

月々の支払額
9.6
購入希望物件価格
万円
頭金
万円
金利
%
返済額(ボーナス1回分)
万円
返済期間

※ボーナスは自動で年2回分で計算されます。

近隣の物件

  1. 呉市川尻町東3丁目売地

    呉市川尻町東3丁目

    - (315.93㎡)

    980万円

  2. 広両谷2丁目土地

    呉市広両谷2丁目

    - (171.00㎡)

    768万円

  3. 呉市阿賀南5丁目売地

    呉市阿賀南5丁目

    - (179.86㎡)

    380万円

  4. 呉市広横路4丁目売地1

    呉市広横路4丁目

    - (242.20㎡)

    733万円

広長浜2丁目土地

広長浜2丁目土地

700万円

-(228.30㎡)

お気軽にお問い合わせください

無料お問い合わせ

朝日住宅

0823-72-4594

月~土9:00▶18:30(日10:00▶17:00)

(休:木曜・祝日)